Secteur Fortifié
SFT - SF Thionville
Sous Secteur
Hombourg-Budange
Maître d'ouvrage
MIL - CORF
Constructeur
Entreprises civiles
Année
Commune
CHEMERY LES DEUX (57320)
Coordonnées
49.287019 - 6.433069
Validité information
Verifié
Niveau de réalisation en 1940
Construit
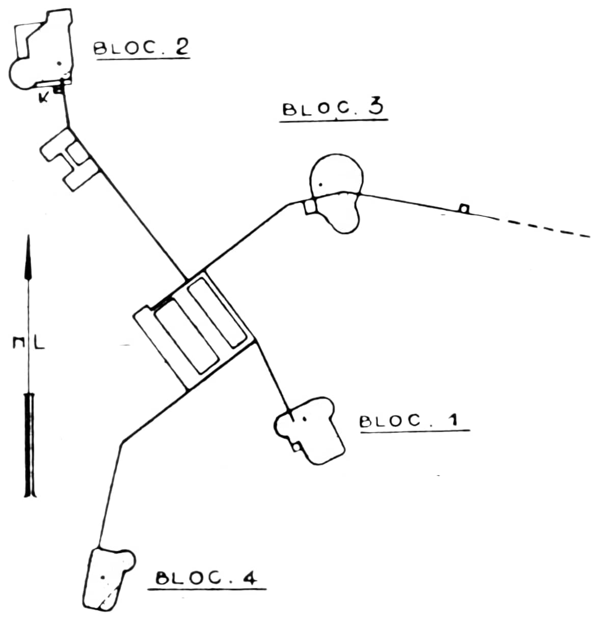
Plan sommaire
Notes et informations
ARMEMENT, Infanterie
Bloc 3 : Tourelle de mitrailleuses n° 40
Construite par Batignolles-Chatillon. Montée en 1933.
Révision effectuée en 1959 par le Service du génie de la 6° Région. Deuxième réception effectuée le 26 mai 1959.
Résumé des principales opérations effectuées au cours de cette révision :
-Remplacement des roulements à billes (prélevés à Laudrefang).
-Visite des bielles à rotules et des coussinets.
-Visite des roulements du balancier.
-Visite du frein éclipse - batterie.
-Visite des guidages inférieur et supérieur.
-Visite de la boîte Citroën (remplacement de deux roulements marche à bras - grande vitesse, de deux roulements marche au moteur, d'un roulement marche à bras - petite vitesse, d'une butée à billes marche à bras - petite vitesse).
-Démontage et réglage de la boîte à pédales.
-Visite du long pignon (remplacement butée à billes).
-Remplacement de la turbine et du ventilateur.
-Remplacement des pignons supérieurs d'entraînement du panorama.
-Remplacement des sécurités de tir.
-Remplacement du treuil du monte-charge auxiliaire.
La tourelle a été férraillée en 1977.
Source(s) :
3 V 113
CONSTRUCTION, Cout
Le marché de construction a été attribué à la Sté Gianotti de Nice pour un montant de 14 million de Francs.
CONSTRUCTION, Description
HOBLING est un petit ouvrage prévu comme tel dés le départ. Il se compose de :
- Bloc 1 : casemate cuirassée d'infanterie, armée avec une cloche JM (jumelage de mitrailleuses) et deux cloches GFM (guetteur fusil-mitrailleur).
- Bloc 2 : entrée et casemate d'infanterie flanquant vers le nord, avec un créneau mixte pour JMAC 47 (jumelage de mitrailleuses et canon antichar de 47 mm), un autre créneau pour JM et deux cloches GFM.
- Bloc 3 : bloc d'infanterie, équipé avec une tourelle de mitrailleuses et une cloche GFM.
- Bloc 4 : un observatoire, équipé avec une cloche VDP (vue directe et périscopique, indicatif O5)
Une entrée séparée est restée à l'état de projet.
DENOMINATION, Dénominations alternatives
Le nom initial de l'ouvrage était "COTE 241".
Son code alpha-numérique est A 23.
DENOMINATION, Indicatifs et n° d'abonné
Le numéro d'abonné de l'ouvrage au réseau téléphonique de la fortification Maginot était 688
Source(s) :
SHD - 32 N 133
EFFECTIF, Commandement et/ou unité
L'effectif théorique de l'ouvrage était de 115 hommes et 4 officiers issus du 164° RIF
Cdt de l'ouvrage : Cne BOILEAU
Off adjoint : Lt BLANGILLE
Bloc 2 : Asp KRAUSE
Bloc 4 : Lt DURAND
EQUIPEMENT, Electrique
L'ouvrage était alimenté depuis le réseau HTA civil par un poste de transformation extérieur. Une usine electrique comprenant deux groupes électrogènes à moteur diesel Renault de 50 chevaux assurait le relève en cas de disparition du réseau civil.
EQUIPEMENT, Transmissions
Le central téléphonique était un central étanche extensible constitué de deux panneaux pour 32 abonnés, d'une table d'opérateur à 14 circuits et des boitiers de protection afférents.
Le répartiteur principal était constitué d'un boitier type 4 pour 126 circuits couplé à un second boitier de petite taille, type 2 bis pour 56 circuits.
Source(s) :
Vu sur place avril 25
ETAT ACTUEL , Etat - utilisation actuelle
Revendu et ferraillé peu après, l'ouvrage porte encore les traces de ces faits de nos jours. Seuls les cuirassements du bloc 2 et 4 sont encore présents et intacts.
2012 - Longtemps resté ouvert et à l'abandon, il est désormais pris en charge et fermé.
HISTORIQUE, Chronologie
Le 15 juin 1940 au soir, le petit poste du sergent ZIMMERMAN, à l'extérieur du réseau de rail, est accroché et le sous-officier, poursuivi à coups de mortier, regagne l'ouvrage de justesse avec deux hommes.
Le troisième, JAUNAULT, blessé par un éclat, ne rejoint que dans la nuit. Le tireur au FM de l'entrée ne le reconnaît pas et lui envoie trois balles dans l'épaule.
Source(s) :
On a livré la Ligne Maginot - Bruge Roger (page 28)
HISTORIQUE, Construction
La 29° réunion de la CORF tenue le 31 juillet 1929 avalise le changement de tracé de la position Moselle-Nied aux alentours de Chémery/Michelsberg. Ceci entraine la discussion lors de la 34° réunion (27 février 1930) de la proposition de création d'un petit ouvrage de liaison à la "COTE 241" entre le nouvel ouvrage de MICHELSBERG et celui d'ANZELING. COTE 241 vient en substitution d'un petit ouvrage sur les hauts d'Edling - remplacé par un couple de casemates -. Il sera équipé d'un observatoire, d'une communication souterraine avec sortie dans le vallon à 800 m d'Ising (sous le Kabenberg) en remplacement de deux casemates simples avec tourelle de 81 mm.
Le marché de gros-œuvre est adjugé le 20 décembre 1929 à la société GIANOTTI de Paris, comme pour toute la tranche qui va du MONT des WELCHES à BOUSSE. La part spécifique à l'ouvrage se monte à 23 MF. A ce stade, l'ouvrage est à peine défini et il n'est donc pas question de démarrer des travaux.
Suite à une reconnaissance sur le terrain faite début octobre 1930 par le Col GRIVEAUD avec le chef de la DTF de Metz-Est, la CORF donne par note 633/ORF ses consignes d'établissement du plan de masse et du plan d'implantation de l'ouvrage :
- l'observatoire (futur bloc 4) devra avoir des vues principalement vers le Nord et le Nord-Est.
- le bloc d'infanterie droit devra être une casemate cuirassée. Une seule cloche mitrailleuse semble suffisante car la tourelle mitrailleuses fera complément.
Le plan d'implantation de l'ouvrage est examiné lors de la 52° réunion CORF (8 mai 1931). A cette date, l'ouvrage a changé de nom pour celui de HOBLING et comporte cinq blocs (casemate cuirassée à droite, simple à gauche avec entrée, un bloc tourelle mitrailleuses, un observatoire avec cloche GFM et une entrée arrière). Les blocs et galeries sont prévus en 1er cycle, à l'exception de l'entrée arrière et de sa communication principale. La décision y est prise d'étendre les locaux passifs souterrains (PC, etc), trop restreints. La cloche GFM du bloc 2 (casemate Nord-Ouest) doit être tournée pour limiter le chevauchement avec la chambre de tir jumelage.
Ce plan d'implantation technique est approuvé le 22 mai 1931 (DM 1739 2/4-S). Le chantier débute à ce moment.
A fin septembre 1931, l'installation de chantier a été faite et on commence juste à fouiller les puits des 4 blocs.
Source(s) :
SHD 2V244, 6V11100
Page n° 10715 mise à jour le 15/08/2025 -
© wikimaginot.eu 2026
L'accés aux documents en ligne est réservé aux utilsateurs inscrits sur le site.
Plan d'ensemble de l'ouvrage de Hobling
Auteur :
Frédéric Lisch
Date : 20/02/2003
Reproduction et diffusion interdites sans l'accord de l'auteur
Document #110111 disponible en ligne (2.6 Mo)
Petit ouvrage de Hobling
Plan sommaire de l'ouvrage
Auteur :
Inconnu
Collection Mansuy - Reproduction interdite
Versé par : Pascal Lambert
Document #110667 disponible en ligne (94.84 Ko)
Petit ouvrage de Hobling
Plan sommaire de l'ouvrage
Auteur :
Inconnu
Collection Mansuy - Reproduction interdite
Versé par : Pascal Lambert
Document #110668 disponible en ligne (124.42 Ko)
Petit ouvrage de Hobling
Carte sommaire des environs
Auteur :
Inconnu
Collection Mansuy - Reproduction interdite
Versé par : Pascal Lambert
Document #110671 disponible en ligne (211.94 Ko)
Petit ouvrage de Hobling
Carte sommaire
Défense accessoire
Auteur :
Inconnu
Collection Mansuy - Reproduction interdite
Versé par : Pascal Lambert
Document #110672 disponible en ligne (147.44 Ko)
Petit ouvrage de Hobling - Plan sommaire
Auteur : Génie
Provenance : Collection Fréderic Lisch
Droits réservés
Versé par : Pascal Lambert
Mis en forme par : Pascal Lambert
Document #141487 disponible en ligne (0 o)
Petit ouvrage de Hobling - Plan des dessus
Auteur : Cne Fensch
Date : 07/01/1932
Provenance : Collection Fréderic Lisch
Droits réservés
Versé par : Pascal Lambert
Mis en forme par : Pascal Lambert
Document #141488 disponible en ligne (0 o)